Loading...
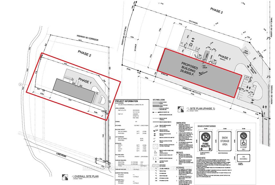
540 Lake Road (Phase 1 & Phase 2), Clarington, ON L1C 4P8 · $15,000,000 | Bizmonk