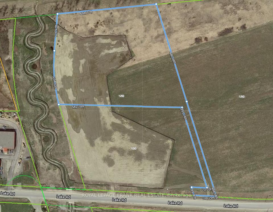
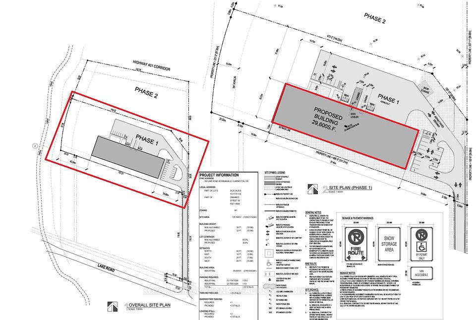
Loading...
540 Lake Road, Clarington, ON L1C 4P8 · $11,800,000 | Bizmonk