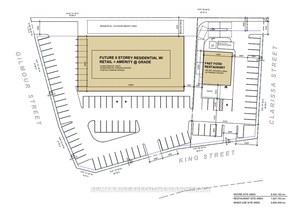
260 KING Street W, Brockville, ON K6V 3S1
810 - Brockville · Leeds and Grenville · ON
MLS® Number: X12540174
Listing Brokerage: RE/MAX RISE EXECUTIVES, BROKERAGE
Exceptional high-profile corner location in Downtown Brockville, neighborhood retailers include Metro, Shopper's, Tim Hortons, Brockville Arts Centre, Downtown Parking and more. Ideal location for a wide range of uses from clinic, veterinarian, retail, drive-thru. Landlord is offering a build-to-suit lease back opportunity, starting from $25/square foot. A free standing drive-thru pad would be starting from $35/square foot. All lease rates triple net per landlord form of lease (TBD - taxes not assessed). Build to suit building shell, lease rate subject to approval of landlord of building specifications to be provided by tenant and subject to the landlord's form of lease. Landlord will consider Land Lease which may be ideal for temporary use especially for landscape or other operations land only on site, subject to meeting zoning approvals.
Directions: North East Corner of Clarissa & King St West Across from Metro
Cross Street: Clarissa and Gilmour Street

No obligation or purchase necessary, cancel at any time.

905-226-7284
Not a good time?